Brak ofert w notatniku
Brak ofert ostatnio przeglądanych
Dom na sprzedaż
- Bielsko-Biała, Komorowice Krakowskie (nr oferty: DS-2172)
| Informacje ogólne: NJM-DS-2172 | |
| Nr oferty | DS-2172 |
| Lokalizacja | Bielsko-Biała |
| Dzielnica | Komorowice Krakowskie |
| Powierzchnia | 102.19 m2 |
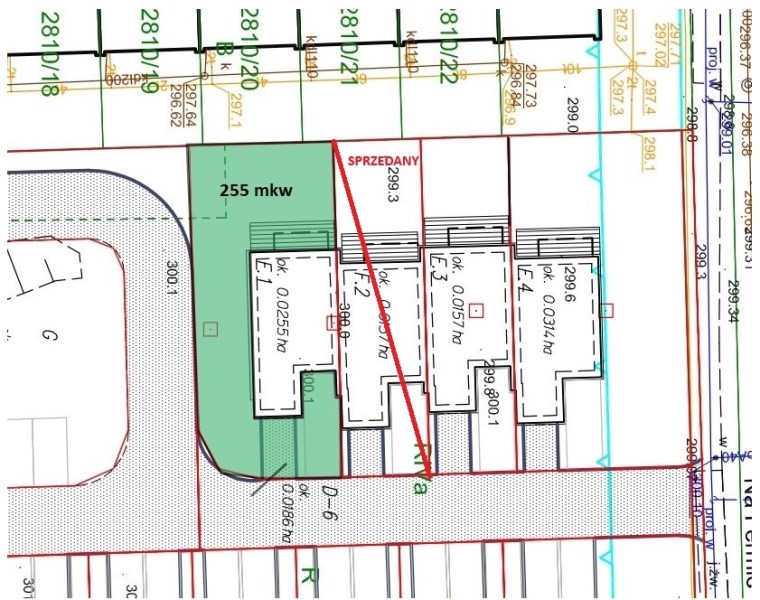
| Pow. działki | 255.00 m2 |
| Cena | 660 000 zł |
| Cena m2 | 6 459 zł/m2 |
| Opis oferty: |
0% PROWIZJI
KUPUJĄCY NIE PŁACI PODATKU PCC
!!!OSTATNI WOLNY SEGMENT!!!
OFERTA PROMOCYJNA!!!
Cena regularna: 724 000 PLN
Cena promocyjna: 660 000 PLN
DWUKONDYGNACYJNY BUDYNEK MIESZKALNY JEDNORODZINNY W ZABUDOWIE SZEREGOWEJ O POW. 102,19 m2., Z WŁASNYM OGRÓDKIEM O POWIERZCHNI 255 m2.
Osiedle Zielone Wzgórze – zielona dzielnica domów jednorodzinnych
W malowniczym zakątku, północnej części miasta Bielska-Białej – Komorowicach Krakowskich przy ul. Barkowskiej, powstał nowocześnie zaprojektowany kameralny kompleks domów jednorodzinnych w zabudowie szeregowej oraz dwulokalowej wzniesionych według indywidualnego projektu pracowni „ARCHETYPEM”.
Okolica gwarantuje ciszę i spokój natomiast bliskość miasta będą stanowiły idealny balans dla osób chcących cieszyć się zaletami podmiejskiego życia uciekając od miejskiego zgiełku i ciasnej zabudowy, jednocześnie posiadać pełną infrastrukturę w zasięgu ręki.
Zaciszna okolica, niska zabudowa w połączeniu z otaczającą panoramą Beskidów pozwala na swobodne korzystanie z własnych ogródków oraz tarasów, a atrakcyjne podmiejskie tereny zielone zachęcają do aktywnego wypoczynku w bezpośrednim kontakcie z naturą.
W najbliższej okolicy znajduje się centrum Komorowic Krakowskich z licznymi punktami handlowo – usługowymi, przystankami, placówkami oświatowymi, ośrodkiem zdrowia.
Położona w wygodnej odległości trasa S1 nie zakłóca spokoju mieszkańców osiedla, a jednocześnie pozwala na sprawny dojazd do Cieszyna, Katowic, Żywca oraz szybkie poruszanie się po całym regionie.
Budynki wykonane w stanie deweloperskim z solidną izolacją termiczną i wykorzystaniem wysokiej jakości materiałów od renomowanych producentów. Osiedle wyróżnia niezwykle ciekawa, nowoczesna i elegancka architektura.
Architektura projektowanego obiektu ma nowoczesny i dynamiczny charakter. Budynek charakteryzuje zwarta prostopadłościennie bryłą z wysuniętym garażem.
Obiekt o dwóch kondygnacjach nadziemnych koresponduje (nie przytłacza) z zabudową sąsiednią.
Wyraźny podział bryłowy w połączeniu z podcieniem utworzonym przez nadwieszenia pierwszej kondygnacji od strony wschodniej oraz zastosowanie we wnęce zewnętrznych drewnianych desek elewacyjnych pozwala na nadanie jej interesującego oraz charakterystycznego wyglądu. Obiekt w całości wykończony tynkiem akrylowym w kolorze antracytowym. Zastosowane zostaną wysokie przeszklenia o różnych szerokościach oraz stalowe balustrady.
Stolarka drzwiowa, okienna, elementy wykończenia zaprojektowano w kolorze antracytu.
Główne wejście do budynku jednorodzinnego w zabudowie szeregowej zlokalizowano na parterze we wschodniej części budynku.
Strefa wejściowa składa się z hallu wejściowego oraz korytarza w którym zlokalizowano otwartą klatkę schodową. Obok głównego wejścia zaprojektowano garaż jednostanowiskowy dostępny z korytarza oraz kolejno WC. W strefie dziennej usytuowanej w części zachodniej zaprojektowano salon wraz z aneksem kuchennym oraz wejściem na taras. Na pierwszym piętrze we wschodniej części zaprojektowano sypialnie. Po zachodniej stronie zlokalizowano dwa pokoje. Pomiędzy pokojami oraz sypialnią znajduje się przestronna łazienka. Przy klatce schodowej zlokalizowano okno dachowe z funkcją wyłazu na dach.
Przy projektowaniu domu uwzględniono położenie obiektu, względem stron świata aby zapewnić odpowiednie nasłonecznienie.
Dom w „segmencie F” posiada: własną niezależną działkę (stanowiącą odrębną nieruchomość z własną księgą wieczystą) wbudowany garaż jednostanowiskowy, oraz balkon.
Dom F1 posiada niezależną działkę o powierzchni 255m2.
ROZKŁAD POMIESZCZEŃ:
PARTER (53,11 mkw.)
- salon + kuchnia 24,37 mkw.
- wiatrołap 3,72 mkw.
- komunikacja 4,4 mkw.
- wc 2,03 mkw.
- garaż 18,59 mkw.
PIĘTRO (49,08 mkw.)
- korytarz 6,44 mkw.
- pokój 10,64 mkw.
- pokój 11,61 mkw.
- łazienka 5,92 mkw.
- sypialnia 14,47 mkw.
DANE TECHNICZNE:
ZAPRASZAMY NA PREZENTACJĘ
Powyższy opis nie stanowi oferty handlowej w rozumieniu art. 66 Kodeksu Cywilnego, a dane w nim zawarte mają charakter informacyjny.
...::: GORĄCO POLECAMY :::...
KUPUJĄCY NIE PŁACI PODATKU PCC
!!!OSTATNI WOLNY SEGMENT!!!
OFERTA PROMOCYJNA!!!
Cena regularna: 724 000 PLN
Cena promocyjna: 660 000 PLN
DWUKONDYGNACYJNY BUDYNEK MIESZKALNY JEDNORODZINNY W ZABUDOWIE SZEREGOWEJ O POW. 102,19 m2., Z WŁASNYM OGRÓDKIEM O POWIERZCHNI 255 m2.
Osiedle Zielone Wzgórze – zielona dzielnica domów jednorodzinnych
W malowniczym zakątku, północnej części miasta Bielska-Białej – Komorowicach Krakowskich przy ul. Barkowskiej, powstał nowocześnie zaprojektowany kameralny kompleks domów jednorodzinnych w zabudowie szeregowej oraz dwulokalowej wzniesionych według indywidualnego projektu pracowni „ARCHETYPEM”.
Okolica gwarantuje ciszę i spokój natomiast bliskość miasta będą stanowiły idealny balans dla osób chcących cieszyć się zaletami podmiejskiego życia uciekając od miejskiego zgiełku i ciasnej zabudowy, jednocześnie posiadać pełną infrastrukturę w zasięgu ręki.
Zaciszna okolica, niska zabudowa w połączeniu z otaczającą panoramą Beskidów pozwala na swobodne korzystanie z własnych ogródków oraz tarasów, a atrakcyjne podmiejskie tereny zielone zachęcają do aktywnego wypoczynku w bezpośrednim kontakcie z naturą.
W najbliższej okolicy znajduje się centrum Komorowic Krakowskich z licznymi punktami handlowo – usługowymi, przystankami, placówkami oświatowymi, ośrodkiem zdrowia.
Położona w wygodnej odległości trasa S1 nie zakłóca spokoju mieszkańców osiedla, a jednocześnie pozwala na sprawny dojazd do Cieszyna, Katowic, Żywca oraz szybkie poruszanie się po całym regionie.
Budynki wykonane w stanie deweloperskim z solidną izolacją termiczną i wykorzystaniem wysokiej jakości materiałów od renomowanych producentów. Osiedle wyróżnia niezwykle ciekawa, nowoczesna i elegancka architektura.
Architektura projektowanego obiektu ma nowoczesny i dynamiczny charakter. Budynek charakteryzuje zwarta prostopadłościennie bryłą z wysuniętym garażem.
Obiekt o dwóch kondygnacjach nadziemnych koresponduje (nie przytłacza) z zabudową sąsiednią.
Wyraźny podział bryłowy w połączeniu z podcieniem utworzonym przez nadwieszenia pierwszej kondygnacji od strony wschodniej oraz zastosowanie we wnęce zewnętrznych drewnianych desek elewacyjnych pozwala na nadanie jej interesującego oraz charakterystycznego wyglądu. Obiekt w całości wykończony tynkiem akrylowym w kolorze antracytowym. Zastosowane zostaną wysokie przeszklenia o różnych szerokościach oraz stalowe balustrady.
Stolarka drzwiowa, okienna, elementy wykończenia zaprojektowano w kolorze antracytu.
Główne wejście do budynku jednorodzinnego w zabudowie szeregowej zlokalizowano na parterze we wschodniej części budynku.
Strefa wejściowa składa się z hallu wejściowego oraz korytarza w którym zlokalizowano otwartą klatkę schodową. Obok głównego wejścia zaprojektowano garaż jednostanowiskowy dostępny z korytarza oraz kolejno WC. W strefie dziennej usytuowanej w części zachodniej zaprojektowano salon wraz z aneksem kuchennym oraz wejściem na taras. Na pierwszym piętrze we wschodniej części zaprojektowano sypialnie. Po zachodniej stronie zlokalizowano dwa pokoje. Pomiędzy pokojami oraz sypialnią znajduje się przestronna łazienka. Przy klatce schodowej zlokalizowano okno dachowe z funkcją wyłazu na dach.
Przy projektowaniu domu uwzględniono położenie obiektu, względem stron świata aby zapewnić odpowiednie nasłonecznienie.
Dom w „segmencie F” posiada: własną niezależną działkę (stanowiącą odrębną nieruchomość z własną księgą wieczystą) wbudowany garaż jednostanowiskowy, oraz balkon.
Dom F1 posiada niezależną działkę o powierzchni 255m2.
ROZKŁAD POMIESZCZEŃ:
PARTER (53,11 mkw.)
- salon + kuchnia 24,37 mkw.
- wiatrołap 3,72 mkw.
- komunikacja 4,4 mkw.
- wc 2,03 mkw.
- garaż 18,59 mkw.
PIĘTRO (49,08 mkw.)
- korytarz 6,44 mkw.
- pokój 10,64 mkw.
- pokój 11,61 mkw.
- łazienka 5,92 mkw.
- sypialnia 14,47 mkw.
DANE TECHNICZNE:
- Budynek w zabudowie szeregowej, 2-kondygnacyjny wybudowany w technologii tradycyjnej, murowanej z pustaka ceramicznego o grubości 25 cm, ocieplony styropianem 15 cm, otynkowany tynkiem akrylowym z elementami okładziny drewnianej,
- Ściany wewnętrzne z pustaka ceramicznego + tynk gipsowy,
- Dach pokryty membraną dachową PCV,
- Kominy i przewody wentylacyjne z pustaków wentylacyjnych,
- Okna - stolarka okienna trójszybowa komorowa PCV - dwukolorowe,
- Piec elektryczny ze zbiornikiem na ciepłą wodę, ogrzewanie podłogowe, możliwość podłączenia fotowoltaiki,
- Drzwi zewnętrzne do budynku ocieplane - drewniane lub stalowe,
- Brama garażowa Horman,
- Balkony - barierka stalowa, na posadzce ryflowane drewniane deski tarasowe,
- Teren ogrodzony z trzech stron,
- Chodniki i parkingi zewnętrzne z kostki brukowej betonowej/ lub geokratą,
- Oświetlenie zewnętrzne nad drzwiami wejściowymi do mieszkań,
Instalacje: - Kanalizacyjna miejska,
- Wodna miejska,
- c.o.
- Elektryczna z możliwością podłączenia do sieci fotowoltaicznej,
- Antenowa TV Sat (bez anteny) oraz telefoniczna,
- Internet światłowodowy w każdym pokoju,
CENA: 660 000,00 ZŁ
Budynek położony w nowoczesnym kompleksie mieszkaniowym, którego inwestycja została już zakończona. Gotowe do zamieszkania, bez konieczności czekania na dalsze prace budowlane.
ZAPRASZAMY NA PREZENTACJĘ
...::: GORĄCO POLECAMY :::...
| Pośrednik odpowiedzialny zawodowo: | |
| Nr licencji | 2663 |





























